Rize'de Koruma Altına Alınan ve Koruma Altından Çıkarılan Alanlar
Yayınlanma:
Güncelleme:
Rize'nin Ardeşen ilçesi ile Çamlıhemşin ilçesinde bazı alanların korunması gerekli taşınmaz kültür varlığı ile ilgili kararları Resmi Gazete'de yayımlandı.
Kültür ve Turizm Bakanlığı Trabzon Kültür Varlıklarını Koruma Bölge Kurulunun Ardeşen ve Çamlıhemşin ilçesiyle ilgili aldığı kararlar Resmi Gazete'de yayımlandı.
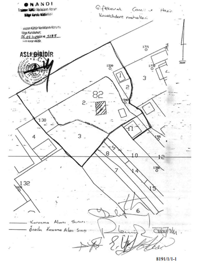
Buna göre Ardeşen ilçesi Kavaklıdere Mahallesi, 82 ada, 2 parseldeki tescilli Çifte Kavak Cami'nin koruma alanında kalan, 82 ada, 11 parselin koruma alanı dışına çıkarılmasına ve bu alan için geçerli olan "kültür varlığı korunma alanındadır" şerhinin kaldırılmasına karar verildi.
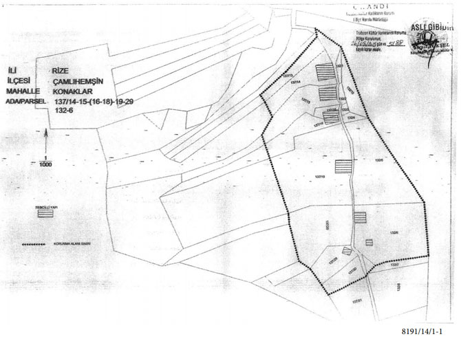
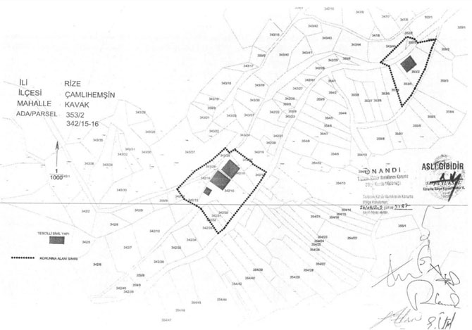
Çamlıhemşin ilçesinde ise Şenyuva Köyü ile Konaklar, Yukarı Çamlıca ve Kavak Mahallesindeki bazı alanlara "korunması gerekli taşınmaz kültür varlığı" ve "Korunması Gerekli 2 Gurup Kültür Varlığıdır" şerhi konuldu.
İŞTE O KARARLAR:



















Resmi İlanlar
Rize