Vampir kelebek ile mücadele için 4 bilimsel proje
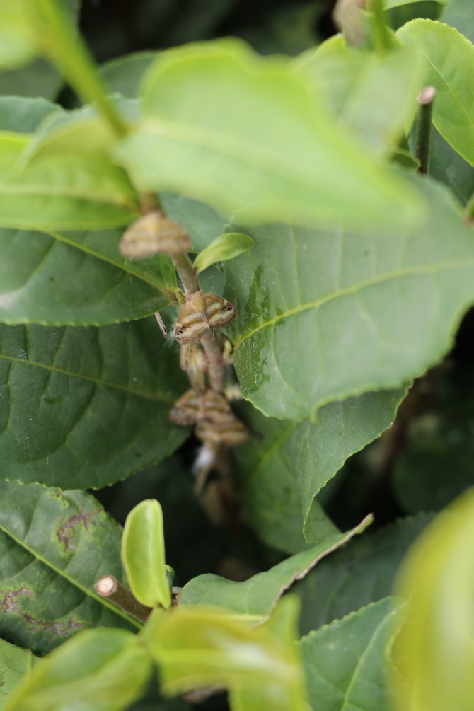
Doğu Karadeniz Bölgesi'nde ağırlıklı olarak Artvin, Rize, Trabzon ve Giresun sahil kesimlerinde görülen ve "vampir kelebek" olarak bilinen "Ricania simulans" adlı zararlı böceklerle mücadele devam ediyor. Bölgede yaklaşık 10 yıldır özellikle yaz aylarında çoğalan böcek, suyunu emdiği sebze ve yabancı otlardan beslenerek kurumalarına neden oluyor.
-001.jpg)
Sahil kesiminde sebze dâhil bütün ürünlere zarar veren "Ricania simulans" ile mücadele konusunda yapılan tüm çalışmaları titizlikle takip ettiklerini ifade eden Rize Ziraat Odası Başkanı Nevzat Paliç, yapılan çalışmalar neticesinde çıkacak rapor sonucunda üyelerini ve vatandaşı bilgilendireceklerini söyledi. Paliç, "Bu zararlı kelebekler üreticinin büyük bir sorunudur. Biz bu sorunu yetkili makamlara sürekli taşıyoruz. Bakanımıza kadar götürdük ve süreci takip ediyoruz. Vatandaşlarımız bize sürekli bu konu ile alakalı şikayetini götürüyor. Biz şuanda takip ediyoruz" dedi.
"Yaşadıkları rakım giderek yükseliyor"
Vampir kelebeklerin yaşam alanlarının giderek genişlediğini, sahil kesimlerden hızla üst taraflara doğru çıktığını ve sayılarının giderek arttığını kaydeden Paliç, "Gittikçe artıyor ve hatta rakım yükseliyor. Önceleri sadece sahil kesiminde görülüyordu, şimdi ise yüksek rakıma doğru çıkıyor. İncire, fasulyeye, bütün yeşile zarar veriyor. Genellikle çaya zarar vermiyor söyleniyordu ancak vatandaşımız bize çaya da zarar verdiğini söylüyor. Bu yıl hava ve iklim şartları nedeniyle ortaya geç çıktılar. Bu nedenle vatandaşımız ilk önce çıkan ürünlerimizden istifade edebildi. Şuan da büyük bir yoğunluk halinde çoğu bahçede var. Çalışmaların neticelerini bekliyoruz. Yapılan çalışmalar bilimsel çalışma olduğundan bizim o konuda konuşma yetkimiz yok ancak çalışmaların içerisindeyiz. Bize verilecek raporlar doğrultusunda vatandaşımızı bilgilendireceğiz" şeklinde konuştu.

Vampir kelebek ile mücadele için 4 bilimsel proje
Recep Tayyip Erdoğan Üniversitesi (RTEÜ) tarafından bölgede var olan özellikle böcek öldürücü olarak kullanılabilecek bitkiler araştırılıyor. Araştırmalar neticesinde kullanılacak bitkilerden özüt elde edilerek bu canlı ile mücadele etmek ve bitkilerden uzak tutabilmek adına çalışmalar yapan RTEÜ Biyoloji Bölümü akademisyenleri, bu bağlamda Doğu Karadeniz'de yetişen "insektisit" yani böcek öldürücü özellikleri bulunan bitkilerden ekstrat elde edip, bu canlı türü üzerinde denemeler üzerinde çalışıyor.
Zararlı kelebeklerle mücadelede dört bilimsel araştırma olduğunu dile getiren RTEÜ Biyoloji Bölümü Zooloji Ana Bilim Dalı Öğretim Üyesi Doç. Dr. Mustafa Akıner, "Bu tür ile mücadele konusunda dört bilimsel araştırma projesi var. Üniversitemize, Gıda Tarım ve Hayvancılık Bakanlığına ve TÜBİTAK gibi kuruluşlara desteklenmek amacıyla projelerimizi sunuyoruz. Buralardan gelen destekle bu canlı ile özellikle organik anlamda nasıl mücadele edilebilir diye araştırmalarımız sürüyor" dedi.

.jpg)
.jpg)
.jpg)
